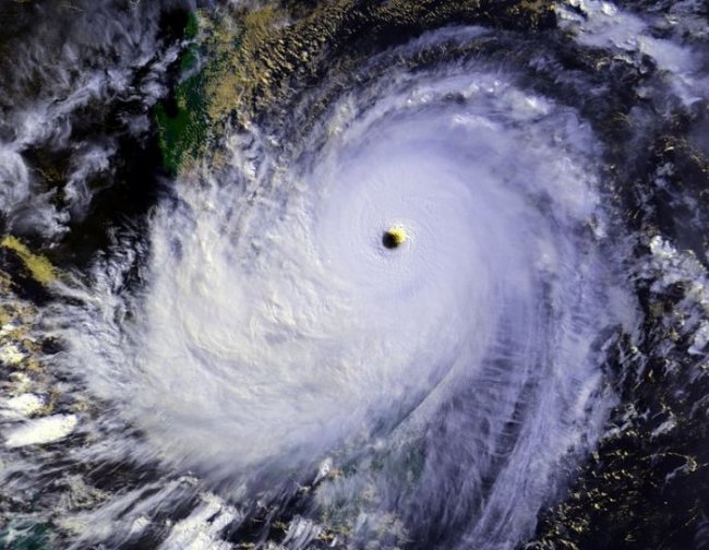
Территории Дальнего Востока, Юго-Восточной Азии, обоих Америк ежегодно и даже ежемесячно подвергаются воздействию мощных циклонов. Атмосферный вертикальный вихрь возникает над поверхностью теплых морей чаще в Тихом океане. Его сопровождают грозы, дожди и штормовые ветра.
Вся мощь циклонов обрушивается на водоемы, от чего возникают большие волны. После попадания вихря на сушу его сила ослабевает, ураганы, тайфуны и смерчи стихают.
Жители прибрежных районов все равно страдают от разрушений. Более удаленные регионы находятся в относительной безопасности, хотя и на их долю приходится значительная часть осадков в виде ливневых дождей. Но и тут помимо наводнений, имеются позитивные стороны. Периодические ливни могут предотвращать длительную засуху.
При гипергане атмосферный вихрь величиной с материк
Любой циклон размером более 2 градусов широты носит разрушительный характер. Иногда ураганы не доходят до суши, но в их губительный вихрь могут попасть небольшие суда. Конечно, люди научились защищаться от циклонов, но ничто не устоит, если в море под тяжесть конденсата образуется гиперган.
Содержание
- 1 Экстремально сильные циклоны — гиперганы
- 2 Характеристики гипергана
- 3 Последствия шторма, величиной с материк
Экстремально сильные циклоны — гиперганы
До настоящего времени не зафиксировано ни одного гипергана, но теоретически данный вид циклона размером с Северную Америку может сформироваться при условии, что температура воды в мировом океане поднимется всего на 15 градусов.
Сегодня средняя температура воды достигает 35°С. Но в связи с глобальным потеплением атмосферного воздуха и таянием вечных льдов на нашей планете опасные гипотезы могут стать явью. Кроме атмосферных изменений, причинами повышения температуры воды могут стать:
- падение астероида или кометы;
- активация большого вулкана.
Существуют теории, что гибель динозавров произошла в процессе образования череды гиперганов, возникших после падения небесного тела.
Характеристики гипергана
Основной опасностью данного феномена является то, что вихрь может увеличиваться без ограничений. При этом всю массу воздуха будет невероятно сложно или невозможно остановить.
Гипотетически, скорость ветра супершторма может достигать 800 км/час, тогда как обычный циклон переходит в статус урагана при скорости около 120 км/час. В таком потоке возникает высокое давление, давая циклону почти бесконечную жизнь.
Последствия шторма, величиной с материк
Потоки воздуха могут повредить озоновый слой Земли. Так как вода, смешиваясь с озоном, приведет к его разрушению. Поврежденный слой больше не сможет задерживать ультрафиолет, люди не будут защищены от ионизирующего солнечного излучения.
Волна невероятной высоты сопровождает гиперган
Некоторые ученые предполагают, что теория о масштабах гипергана преувеличена. И что с точки зрения физики, на Земле не сможет сформироваться вихрь, шириной больше 2,5 км.
Отрицание масштабов гипергана учеными дает надежду, что сюжет романа Сергея Панченко «Ветер», в котором суперциклон стал причиной гибели человеческой цивилизации, является плодом фантазии автора.
 
								








